| 索 引 号: | yishuixgtzyj2251515/2025-0000197 | 主题分类: | 土地 |
| 发文机关: | 沂水县自然资源和规划局 | 公文类型: | |
| 成文日期: | 2025-08-21 | 发布日期: | 2025-08-21 |
| 标 题: | 不动产登记依职权注销公告 沂水县粮食收储管理中心等 | ||
经初步审定,我机构拟对下列不动产权利予以注销登记,根据《不动产登记暂行条例实施细则》第十七条的规定,现予公告。如有异议,请自本公告之日起十五个工作日内(2025年9月10日之前)将异议书面材料送达我机构。逾期无人提出异议或者异议不成立的,我机构将予以登记。
异议书面材料送达地址:沂水县政务服务中心一楼不动产登记交易中心窗口
联系方式:0539—2261617
序号 |
权利人 |
不动产权利 类型 |
不动产坐落 |
不动产证号 |
不动产面积 |
用途 |
备注 |
1 |
沂水县粮食收储管理中心 |
国有土地用地 使用权 |
柴山乡柴山村 |
沂国用(2001)字第0401号 |
2956.9㎡ |
仓储用地 |
根据沂水县人民政府建设用地批件沂政发[2025]20号),依职权注销。 |
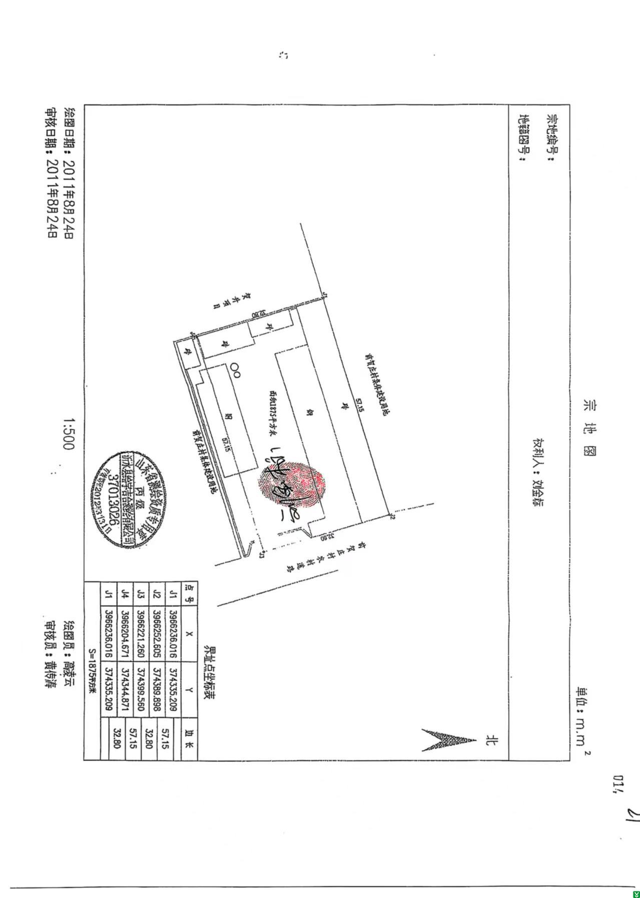
2 |
刘金标 |
国有土地用地 使用权 |
县城区北部青援食品集团有限公司以西 |
沂国用(2011)第233号 |
1875㎡ |
工业用地 |
根据沂水县人民政府建设用地批件沂政发[2025]21号),依职权注销。 |
3 |
孙珍芬 |
国有土地用地 使用权 |
沂城街道西朱家庄村,北一环路以北 |
鲁(2020)沂水县不动产权第0014413号 |
1601㎡ |
工业用地 |
根据沂水县人民政府建设用地批件沂政发[2025]23号),依职权注销。 |
4 |
沂水县城市国有资产运营有限公司 |
国有土地用地 使用权 |
东环路东黄泥崖村路南 |
沂国用(2008)第076号 沂房字第011290183号 |
19350㎡ 16937.3㎡ |
商服用地 |
根据沂水县人民政府建设用地批件沂政发[2025]22号),依职权注销。 |
公告单位:沂水县不动产登记交易中心
二〇二五年八月二十一日











